793560 124 Grey Highlands Road, Grey Highlands, ON

$195,000

Previous Next

5.00

Acres

About 793560 124 Grey Highlands Road

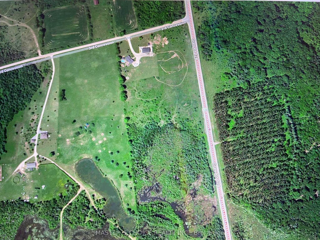
5-acre vacant land. A nature lovers paradise, located in the lovely Municipality of Grey Highlands, right on the border of the highly sought-after Clearview Township. With just a hop, skip and a jump across the road, you will find 150 acres of county-owned land featuring hiking and biking trails, great for cross-country skiing, snowshoeing and much more. The perfect location for the outdoor enthusiast! Just a short drive to Collingwood, Creemore or Wasaga Beach and just over an hour to the city! If you are looking for a rural property in a highly desirable area, this is the one! Buyer and Buyer's agent to do their own due diligence in terms of obtaining permits for future use. owner spent $$ to make an entrance to the land recently.

Features of 793560 124 Grey Highlands Road

MLS® # X12461967
Price $195,000
Bathrooms 0.00
Acres 5.00
Type Residential Freehold
Sub-Type Vacant Land
Status Active

Community Information

Address 793560 124 Grey Highlands Road
Area Grey County
Subdivision Grey Highlands
City Grey Highlands
Province ON
Postal Code N0C 1M0

Amenities

Is Waterfront No
Waterfront None

Interior

Fireplace No

Listing Details

OfficeMASTER`S CHOICE REALTY INC.

Listing Map

Request a Showing

Provide a valid email address.
When would you like to view this property?